Små insatser – stor effekt för trafiksäkerheten
Sollentuna 2023-2024

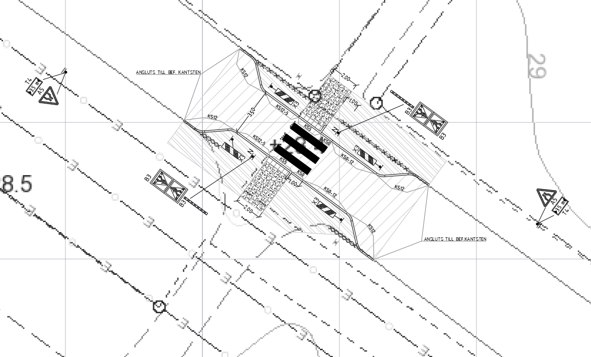
Rävgärdsvägen
Om projektet:
Åtgärd i form av en dubbelsidig avsmalning för att öka trafiksäkerheten vid korsningen Rävgärdsvägen/Torklis väg (Sollentuna).
Det som gjorts är:
- Gatan har vid det befintliga övergångsstället smalnat av från 6 meter till 3,5 meter genom en dubbelsidig avsmalning.
- Övergångsstället har tillgänglighetsannpassats med taktila betongplattor med färgkontrast och varierande visning på kantsten.
Fakta:
- Projektkostnad: ca 0,5 Mkr
- Curblines roll: projektering, projekt- och byggledning
- Genomförandetid: 2024-02-05 till 2024-02-19
Eriksbergsvägen
Om projektet:
På Eriksbergsvägen (Sollentuna) har vi ökat trafiksäkerheten med ett upphöjt och avsmalnat övergångsställe.
Det som gjorts är:
- Gatan har vid det befintliga övergångsstället smalnat av från 7 meter till 5.5 meter genom en enkelsidig avsmalning.
- En 7.65 x 5.5 meter fartdämpande platå har anlagts vid det avsmalnade övergångsstället.
- Övergångsstället har tillgänglighetsannpassats med taktila betongplattor med färgkontrast och varierande visning på kantsten.
Fakta:
- Projektkostnad: ca 0,5 Mkr
- Curblines roll: projektering, projekt- och byggledning
- Genomförandetid: 2024-03-04 till 2024-03-18


Lomvägen
Om projektet:
En trafiksäkerhetshöjande åtgärd i form av avsmalnat övergångsställe. Med denna åtgärd har det blivit särskilt trafiksäkert för framförallt elever som korsar Lomvägen (Sollentuna) i deras väg till och från Kärrdalsskolan.
Det som gjorts är:
- Gatan har vid det befintliga övergångsstället smalnat av från 6.5 meter till 3.5 meter genom en dubbelsidig avsmalning.
- Övergångsstället har tillgänglighetsannpassats med taktila betongplattor med färgkontrast och varierande visning på kantsten.
Fakta:
- Projektkostnad: ca 1 Mkr
- Curblines roll: projektering, projekt- och byggledning
- Genomförandetid:
Hovslagarevägen
Om projektet:
På Hovslagarevägen (Sollentuna) hade den föreskrivna hastigheten (30 km/h) inte efterlevts, och således registrerades 77% hastighetsöverträdelser i september 2021. Syftet med åtgärden är att trafiksäkra platsen och göra den föreskrivna hastigheten eftersträvad.
Det som gjorts är:
- Gatan har smalnat av till 3.5 meter genom placering av en avsmalning med övergångsställe strax efter utfart vid adressnummer 38.
- Övergångsstället har tillgänglighetsannpassats med taktila betongplattor med färgkontrast och varierande visning på kantsten.
- Ombyggnation av trottoaren norr om vägbanan.
- Breddning av trottoaren söder om vägbanan till 2.6 meter.
Fakta:
- Projektkostnad: ca 1.5 Mkr
- Curblines roll: projektering, projekt- och byggledning
- Genomförandetid:


Hägviksvägen
Om projektet:
En åtgärd i form av anläggning av mittrifuger vid två övergångsställen på Häggviksvägen (Sollentuna) som trafikeras av buss. Denna åtgärd ökar trafiksäkerheten för korsande fotgängare.
Det som gjorts är:
- 1.75 meter breda mittrefuger har anlagts vid två övergångsställen.
- Körbanan har beretts något norrut för att rymma de nya refugerna och behålla körfälts bredd 3.5 meter på vardera sidan.
- Övergångsställen har tillgänglighetsannpassats med taktila betongplattor med färgkontrast och varierande visning på kantsten.
Fakta:
- Projektkostnad: ca 0.5 Mkr
- Curblines roll: projektering, projekt- och byggledning
- Genomförandetid:
Tegelhagens skola
Om projektet:
Förbättring av trafikförutsättningar utanför Tegelhagens skola (Sollentuna) för att få säkrare och smidigare rörelse för bilar som parkerar, stannar för på- och avstigning eller vänder vid hämtning och lämning .
Det som gjorts är:
- En ny vändplats har anlagts strax efter den befintliga på- och avstigningsplats.
- Övergångsstället har tillgänglighetsannpassats med taktila betongplattor med färgkontrast och varierande visning på kantsten.
Fakta:
- Projektkostnad: ca 1 Mkr
- Curblines roll: projektering, projekt- och byggledning
- Genomförandetid:
